Local Service Overview

Get Ants Extermination Service in Van Zandt County, TX

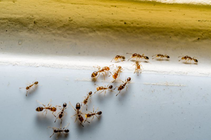
Ants extermination services for property owners in Van Zandt County, TX, and nearby areas address ant infestations, prevent future invasions, and handle residential and commercial pest control projects.

Van Zandt County, TX

Ants extermination services play a vital role in maintaining the comfort and functionality of properties in Van Zandt County, TX. Property owners often seek professional pest control to prevent infestations that can disrupt daily life, damage structures, or compromise sanitation. Effective extermination not only eliminates current ant problems but also helps create a more secure environment, reducing the risk of future invasions and minimizing ongoing maintenance needs.

Choosing expert ant extermination services can also enhance curb appeal by keeping outdoor spaces tidy and free of unsightly ant mounds or trails. Additionally, a pest-free property contributes to overall safety and peace of mind, allowing residents and visitors to enjoy the space without concern. Local service providers focus on delivering durable solutions that support long-term pest management, supporting the overall well-being and value of properties in the community.

Get Ants Extermination Service Quotes

  • Ants Extermination Services are needed when homeowners or businesses notice ant activity indoors or outdoors.
  • These services are essential in regions like Van Zandt County, TX, where ant infestations can affect property comfort.
  • Professional exterminators can help eliminate ant colonies in kitchens, basements, or yard areas.
  • Ant control may be required during warmer months when ant populations tend to grow rapidly.
  • Contact local pest control providers for assistance with persistent ant problems or recurring infestations.

Get Ants Extermination Service Quotes

Ants Extermination Service
Ants Extermination Service
Ants Extermination Service

Ants extermination services involve professional treatments designed to eliminate ant colonies and prevent future invasions. These services typically include thorough inspections to identify entry points, nesting areas, and the extent of the infestation. Treatment methods may involve the application of targeted insecticides, baiting systems, and barrier techniques to effectively remove ants from residential and commercial properties. The goal is to address the root of the problem, ensuring that ant populations are reduced and that the property remains protected from recurring issues.

Ant infestations can cause various problems for property owners, including structural damage, contamination of food supplies, and general nuisance. Certain ant species, such as fire ants, can pose health risks due to their painful stings and allergic reactions. Additionally, ants can be difficult to control once they establish a colony indoors or outdoors, often requiring professional intervention to fully eradicate the problem. Extermination services help mitigate these issues by targeting colonies at their source, reducing the likelihood of ongoing or future infestations.

Properties that commonly utilize ant extermination services include residential homes, especially those with gardens or nearby wooded areas, as well as commercial establishments like restaurants, grocery stores, and warehouses. Multi-unit complexes, such as apartment buildings and condominiums, are also frequent clients, since ants can quickly spread between units. In rural or suburban settings, properties with extensive landscaping or outdoor storage areas may experience higher incidences of ant activity, prompting regular pest control treatments to maintain a pest-free environment.

Engaging with local pest control providers for ant extermination services offers a tailored approach to managing ant problems. These professionals assess the specific conditions of each property and recommend appropriate treatment plans to effectively control and prevent ant populations. Whether dealing with a minor nuisance or a significant infestation, property owners can find experienced service providers capable of addressing the unique challenges posed by different ant species and property types.

The overview below groups typical Ants Extermination Service projects into broad ranges so you can see how smaller, mid-sized, and larger jobs often compare in Van Zandt County, TX.

In many markets, a large share of routine jobs stays in the lower and middle ranges, while only a smaller percentage of projects moves into the highest bands when the work is more complex or site conditions are harder than average.

Initial Inspection Costs - Ant extermination services typically start around $100 to $200 for a thorough inspection and identification of ant colonies. Larger or more complex properties may see costs up to $300. These fees often cover the assessment needed before treatment.

Treatment Expenses - The cost for ant extermination treatments generally ranges from $150 to $400, depending on the size of the affected area and the severity of the infestation. Baiting and liquid treatments are common options within this range. Prices may vary based on the type of treatment used by local service providers.

Follow-up Service Fees - Follow-up visits for ant control often cost between $75 and $200, depending on the number of visits required and the extent of the infestation. Some providers include follow-ups in initial service packages, while others charge separately. Additional visits may be necessary for persistent ant problems.

Preventive Treatments - Preventive ant control services typically range from $100 to $250 for barrier treatments around the property. These services aim to deter future ant invasions and may be recommended annually. Costs vary based on property size and the level of protection desired.

Actual totals will depend on details like access to the work area, the scope of the project, and the materials selected, so use these as general starting points rather than exact figures.

Get an Ants Extermination Service Quote

Ants Extermination services are essential for addressing ant infestations in residential and commercial properties, helping to eliminate colonies effectively.

Local ant extermination professionals provide targeted treatments to control and prevent ant populations in homes, gardens, and surrounding areas.

These services often include inspection, identification of ant species, and tailored treatment plans to ensure comprehensive control.

Ants Extermination services are suitable for both immediate removal and long-term prevention of ant re-infestation.

Professionals utilize various methods, including baiting and barrier treatments, to manage ant problems safely and efficiently.

Contacting local ant extermination specialists can assist property owners in maintaining pest-free environments.

Ants Extermination Service

When comparing ant extermination service providers, experience is a key factor to consider. Pros with a history of handling ant infestations in areas like Van Zandt County, TX, often bring a deeper understanding of local ant species and effective treatment methods. Reviewing the backgrounds of local contractors can provide insight into their familiarity with common pest issues in the community, which may contribute to more efficient and tailored solutions. It’s beneficial to seek out references or reviews from previous clients to gauge how well a service provider has addressed similar ant problems in the past.

Clear communication of written expectations is essential when selecting an extermination professional. Reputable local providers typically outline the scope of work, treatment methods, and any necessary follow-up procedures in written estimates or service agreements. This transparency helps ensure that homeowners understand what to expect and can compare different options effectively. A service provider who provides detailed and comprehensible information upfront can help prevent misunderstandings and foster a smoother experience.

Reputable references and strong communication are indicators of a reliable ant extermination service. Local pros with positive feedback from prior clients often demonstrate consistent quality and professionalism. Additionally, a contractor’s willingness to answer questions and explain treatment plans in detail can be a sign of their commitment to customer satisfaction. Since this platform connects homeowners with local service providers rather than performing the work directly, it’s important to review each pros’ reputation and communication style to find a provider that aligns with individual needs and preferences.

Get an Ants Extermination Service Quote

Property owners in Van Zandt County, TX use Ants Extermination Service services for practical projects around their homes and businesses. The sections below highlight everyday jobs and straightforward project options.

Ants Extermination Service
Ants Extermination Service

Ants extermination services are commonly sought by property owners in Van Zandt County, TX, when ants become a persistent nuisance around homes or businesses. Common situations include discovering large ant colonies in kitchens, bathrooms, or outdoor areas, which can interfere with daily activities and compromise cleanliness. Local service providers can assist with identifying the ant species and implementing targeted treatment plans to address infestations effectively.

Property owners may also seek ant extermination when they notice signs of ongoing activity, such as ant trails or nests in walls, foundations, or garden beds. These situations often arise during warmer months when ants are more active and seeking shelter or food sources. Professional extermination services can help eliminate existing colonies and implement preventative measures to reduce the likelihood of future invasions.

Get an Ants Extermination Service Quote

How do ant extermination services work? Ant extermination services typically involve identifying ant entry points and nesting areas, then applying targeted treatments to eliminate colonies and prevent future infestations.

Are ant extermination treatments safe for pets and children? Many extermination methods are designed to be safe around pets and children, but it is recommended to discuss specific concerns with local service providers.

How long does an ant extermination treatment take? The duration of treatments can vary depending on the severity of the infestation, but most services aim to resolve ant problems efficiently with minimal disruption.

Will I need multiple treatments to control an ant problem? Some ant infestations may require more than one treatment to fully eliminate colonies and ensure long-term control.

How can I prevent future ant problems? Local pros often recommend sealing entry points, maintaining cleanliness, and removing food sources to help prevent future ant infestations.

Ants Extermination Solutions - Local service providers offer targeted treatments to eliminate ant infestations effectively.

Inspection and Identification - Pros can assess property conditions to identify ant entry points and nesting areas.

Preventive Strategies - Experts recommend ongoing prevention methods to reduce the likelihood of future ant problems.

Environmentally Safe Treatments - Many local providers utilize safe and effective products to control ants without harming the surroundings.

Ants Extermination Service

Considering Ants Extermination Service for a property in Van Zandt County, TX? The sections above highlight common project types, practical options, and details that often shape the scope of work.

When you are ready, use the quote form to share a few details about your project. Local pros can review the basics and respond with options that match what you have in mind.

Get an Ants Extermination Service Quote

Ants Extermination Quotes

Our Trusted Partners
Cantu Pest Control
Orkin
Hawx Pest Control