Local Service Overview

Get Ants Extermination Service in Rockwall County, TX

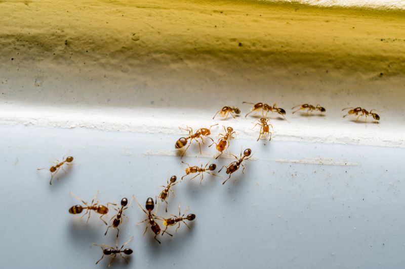
Ants extermination services for property owners in Rockwall County, TX, address ant infestations, prevent future outbreaks, and handle residential and commercial ant control projects.

Rockwall County, TX

Ants extermination services are essential for property owners in Rockwall County, TX seeking to maintain a comfortable and safe living environment. By addressing ant infestations promptly, homeowners can prevent potential damage to structures, electrical wiring, and stored belongings, ensuring the functionality and durability of their properties. Effective pest control also contributes to reduced maintenance needs over time, helping to preserve the property's appearance and curb appeal.

Engaging professional ant extermination services offers peace of mind by eliminating nuisance pests that can disrupt daily routines and compromise hygiene. These services help create a cleaner, more inviting space while safeguarding the health of residents and visitors. Proper pest management supports long-term property value and ensures that homes and businesses remain attractive and well-maintained in the community.

Get Ants Extermination Service Quotes

  • Ants Extermination - needed when ants invade homes or businesses in Rockwall County, TX and surrounding areas.
  • Ants Control - required to eliminate persistent ant colonies in residential or commercial properties.
  • Ants Pest Removal - necessary when ant infestations threaten the comfort and hygiene of indoor spaces.
  • Ants Treatment - sought after to prevent future ant problems in properties near Dallas and nearby communities.
  • Ants Barrier Services - useful for establishing a protective barrier against ant entry in suburban and urban areas.

Get Ants Extermination Service Quotes

Ants Extermination Service
Ants Extermination Service
Ants Extermination Service

Ants extermination services involve the identification and elimination of ant colonies that have invaded a property. Professional pest control providers typically conduct thorough inspections to locate nests and determine the species involved. Treatments may include targeted baiting, applying insecticides, or using other methods to eradicate the ants and prevent future infestations. These services aim to address the root cause of the problem, ensuring that the ants are effectively removed and do not return.

Ant infestations can cause a variety of problems for property owners. Aside from the nuisance and inconvenience of having ants in living or working spaces, certain species can contaminate food supplies or damage structures by nesting in wood or insulation. In some cases, ants may also trigger allergic reactions or exacerbate asthma symptoms in sensitive individuals. Extermination services help resolve these issues by removing the pests and implementing measures to reduce the likelihood of re-infestation.

Various types of properties utilize ants extermination services, including residential homes, commercial buildings, and food service establishments. Homes often require pest control to maintain hygiene and comfort, especially in kitchens and basements where ants are most commonly seen. Commercial properties such as restaurants, grocery stores, and warehouses also seek extermination services to safeguard their inventory and comply with health standards. Additionally, property managers and landlords may contract these services to maintain the integrity of rental units and common areas.

Professional ant extermination services are tailored to the specific needs of each property type and infestation severity. Local pest control providers typically offer customized solutions that consider the size of the property, the extent of the ant problem, and the species involved. By partnering with experienced service providers, property owners can better manage ant issues and maintain a pest-free environment.

The overview below groups typical Ants Extermination Service projects into broad ranges so you can see how smaller, mid-sized, and larger jobs often compare in Rockwall County, TX.

In many markets, a large share of routine jobs stays in the lower and middle ranges, while only a smaller percentage of projects moves into the highest bands when the work is more complex or site conditions are harder than average.

Initial Treatment Cost - The cost for a single ant extermination treatment typically ranges from $150 to $300, depending on the size of the property and infestation severity. For example, a standard residential home in Rockwall County might fall within this range.

Ongoing Prevention Services - Monthly or quarterly maintenance plans usually cost between $50 and $150 per visit. These services help prevent future ant problems and are tailored to the property's needs.

Per-Infestation Pricing - Some service providers offer per-infestation pricing, which can vary from $100 to $250 per treatment. This approach is common for targeted treatments in specific areas of a property.

Large Property or Commercial Costs - For larger properties or commercial spaces, costs can range from $500 to over $1,000 per treatment. The price depends on the size and complexity of the infestation management required.

Actual totals will depend on details like access to the work area, the scope of the project, and the materials selected, so use these as general starting points rather than exact figures.

Get an Ants Extermination Service Quote

Ants Extermination - Local pest control providers offer specialized services to eliminate ant colonies and prevent future infestations in residential and commercial properties.

Ants Prevention - Service providers can identify potential entry points and apply treatments to reduce the likelihood of ant invasions around buildings.

Ants Inspection - Professionals conduct thorough inspections to locate ant nests and assess the extent of the infestation for targeted treatment plans.

Ants Removal - Experts utilize effective removal methods to eradicate ant populations and restore pest-free environments.

Ants Barrier Treatments - Local pros apply barrier treatments around structures to create a protective zone against ant entry.

Ants Control Consultation - Pest control specialists provide advice on ongoing prevention strategies and effective ant management techniques.

Ants Extermination Service

When evaluating local ants extermination service providers, experience is a key factor to consider. Homeowners should look for professionals with a proven track record in handling ant infestations within their area, such as Rockwall County, TX. Established providers often have a history of successfully managing various ant species and property types, which can indicate a deeper understanding of local pest behaviors and effective treatment methods. Gathering information about how long a contractor has been operating and their familiarity with regional pest issues can help ensure the selected professional has the necessary background to address specific ant problems.

Clear and written expectations are essential when working with pest control providers. Reputable local pros typically outline the scope of services, treatment methods, and any necessary follow-up procedures in their communications. This transparency helps homeowners understand what to anticipate and provides a basis for agreement on the work to be performed. It’s advisable to review any written estimates or service descriptions carefully, ensuring they specify what will be done to eliminate ants and prevent future infestations, which can contribute to a smoother service experience.

Reputation and communication are vital aspects of choosing a reliable ants extermination service. Homeowners should seek providers with reputable references or reviews from previous clients in the local area. Effective communication involves responsiveness, clarity, and the ability to address questions or concerns promptly. Professionals who maintain open lines of communication and provide detailed information can help foster trust and confidence throughout the process. Since the information below connects users with local service providers, it’s recommended to contact multiple options to compare their experience, transparency, and reputation before making a decision.

Get an Ants Extermination Service Quote

Property owners in Rockwall County, TX use Ants Extermination Service services for practical projects around their homes and businesses. The sections below highlight everyday jobs and straightforward project options.

Ants Extermination Service
Ants Extermination Service

Ants extermination services are often sought by property owners in Rockwall County, TX, facing persistent ant invasions in residential or commercial spaces. Common situations include discovering ant trails inside kitchens, bathrooms, or along exterior walls, prompting a need for professional intervention to eliminate the infestation and prevent future issues. Property owners may also seek assistance after noticing increased ant activity during warmer months or following nearby construction that disturbs ant colonies.

In addition to immediate infestations, property owners might look for ant extermination services to address recurring problems or to safeguard food storage areas and living spaces. Ants can sometimes be a sign of underlying issues such as moisture problems or structural gaps that allow easy access. Local service providers can help identify the sources of ant activity and implement targeted solutions to keep properties in Rockwall County free from these pests.

Get an Ants Extermination Service Quote

How do ant extermination services work? Ant extermination services typically involve inspecting the affected area, identifying ant species and entry points, and applying targeted treatments to eliminate colonies and prevent future infestations.

Are ant extermination treatments safe for pets and children? Many professional treatments are designed to be safe when used properly; however, it is recommended to discuss safety concerns with the local service provider before treatment.

How long does an ant extermination treatment usually last? The duration of effectiveness can vary depending on the treatment method and extent of the infestation; a local professional can provide guidance based on specific circumstances.

Will I need multiple treatments to get rid of ants? Some ant infestations may require more than one treatment to fully eliminate colonies, especially if the infestation is extensive or persistent.

How can I prevent future ant problems? Local pest control providers can advise on preventative measures such as sealing entry points, removing food sources, and maintaining clean surroundings to reduce the likelihood of future ant issues.

Ants Extermination Solutions - Local pest control providers offer targeted treatments to eliminate ant colonies and prevent future infestations.

Inspection and Identification - Professionals can assess property conditions to identify ant entry points and nesting sites for effective removal strategies.

Preventive Treatments - Service providers apply barriers and treatments to keep ants from returning to residential or commercial spaces.

Ongoing Monitoring - Experts can set up monitoring systems to detect ant activity early and maintain a pest-free environment.

Ants Extermination Service

Considering Ants Extermination Service for a property in Rockwall County, TX? The sections above highlight common project types, practical options, and details that often shape the scope of work.

When you are ready, use the quote form to share a few details about your project. Local pros can review the basics and respond with options that match what you have in mind.

Get an Ants Extermination Service Quote

Ants Extermination Quotes

Our Trusted Partners
Cantu Pest Control
Orkin
Hawx Pest Control